1月23日,太原市规划和自然资源局网站发布了太原市多处地块控制性详细规划修改方案(草案)公示,修改内容包含了多个太原市民关注已久的学校项目。WBL-05片区07街区004-1地块修改动因为推动太原市第五中学丽华校区项目落地。修改范围北起九院沙河南沿岸南侧绿地,南至20米规划路,西起30米规划路,东至30米规划路。规划总用地面积为6.30公顷。
详细修改内容为将地块各项指标作出细化调整:容积率1.2,建筑密度46%,绿地率24%,建筑高度25米。
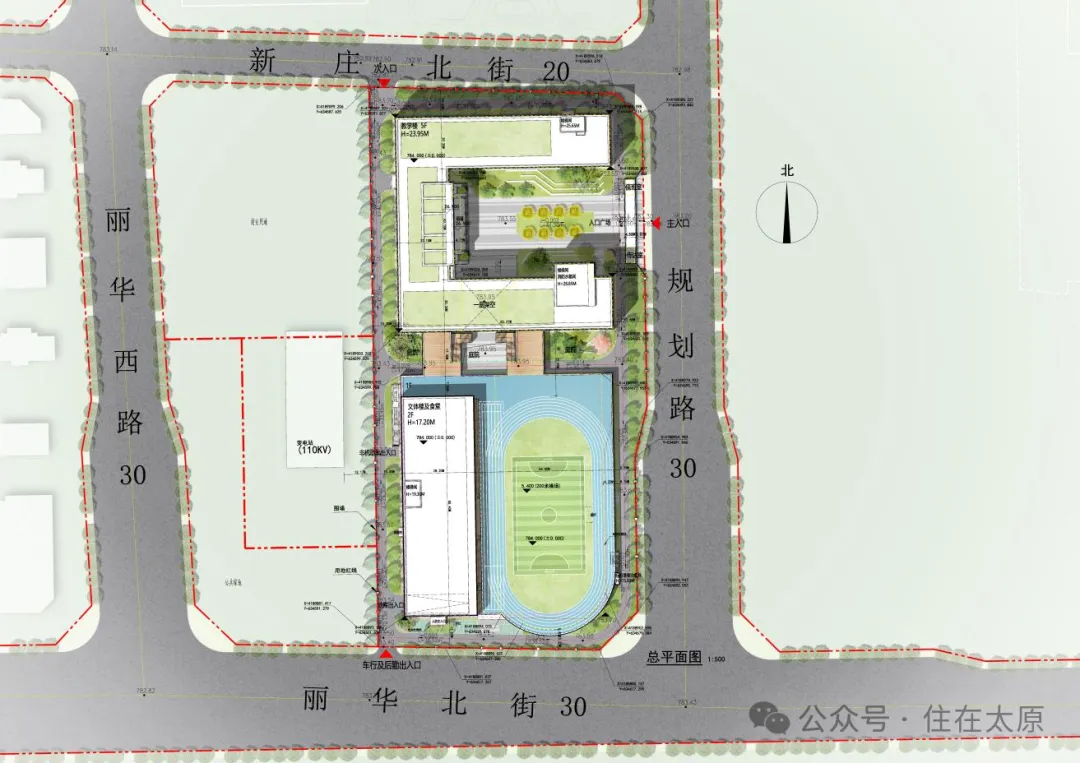
太原市第五中学校丽华校区建设地点位于九院沙河快速路以南,新庄北街以北,丽华西街以东,规划路以西。

本项目建设用地性质为教育用地,规划用地面积52250.69平方米(约78.38亩)。学校规模为高中18轨,共54个教学班,总建筑面积为74656.81平方米,地上建筑面积为61537.45平方米,地下建筑面积为13119.36平方米。
主要建设内容为用地范围内建筑物的建筑工程、装饰工程、安装工程、设备购置安装工程及配套的室外工程。本项目总投资为54541.90万元;其中工程费用44985.96万元,其他费用5515.80万元,预备费4040.14万元,资金来源为申请市财政资金以及中央资金。建设期限24个月。
JCP-01片区05街区036-2地块修改动因为推动太原市外国语学校芮城校区项目落地。
修改范围北起芮城街,南至塞纳阳光小区,西起和平北路,东至文兴路。 规划总用地面积为8.75公顷。
详细修改内容为将地块各项指标作出细化调整:容积率1.0,建筑密度30%,绿地率13%,建筑高度25米。
太原市外国语学校芮城校区建设项目位于太原市尖草坪区,和平北路以东、芮城街以南、文兴路以西、摄乐北街以北。
本项目学校规模为高中10轨制,初中8轨制,共54个教学班。总建筑面积为 68687.1平方米。

本项目总投资为46909.01万元,其中工程费用为40028.28万元,建设工程其他费用为3405.99万元,预备费为3474.74万元。资金来源为市财政资金解决。建设期限24个月。

JY-01片区03街区010地块修改动因为推动太原市第五实验小学新校区项目落地。
修改范围北起20米规划路,南至长兴北街,西起西中环东侧绿地,东至20米规划路。规划总用地面积为3.88公顷。
详细修改内容为将地块各项指标作出细化调整:容积率1.0,建筑密度28%,绿地率10%,建筑高度25米。
本项目学校规模为小学6轨制,共36个教学班。总投资17478.75万元。项目位于晋源区,北至山西义井宇恒置业有限公司,南至北堰村,东至太原颖沅房地产开发有限公司,西至西中环。项目总建筑面积为26549.51平方米,地上建筑面积为20694.53平方米,建设内容包括报告厅、设备用房、机动车库、非机动车库、换热站。XD-07片区01街区036地块修改动因为推动太原市育英中学星河湾校区项目落地。
修改范围北起加洋双语小学,南至星河南街,西起星河湾6号园,东至平阳路。规划总用地面积为4.60公顷。
详细修改内容为将地块各项指标作出细化调整:容积率1.0,建筑密度25%,绿地率18%,建筑高度25米。
育英中学星河湾校区位于太原市小店区,太原市星河湾南街以北,平阳南路以西,加洋双语小学以南、星河湾6号园以东。西侧与星河湾公园相望,北侧与香檀1号相望,紧临平阳南路和星河南街。平阳南路为城市主干道,地理位置优越,具有便捷的交通条件。

早前规划显示该项目建设用地指标:总用地为45939.41 ㎡(68.91亩),其中净用地38054.15 ㎡(57.08亩),道路用地7885.26 ㎡(11.83亩)。

将新建总建筑面积34798 ㎡,学校规模初中8轨、高中6轨,共规划42个教学班,学生人数2100名,总建筑面积3.5万㎡。