详细修改内容为将地块各项指标作出细化调整:容积率1.0,建筑密度25%,绿地率18%,建筑高度25米。
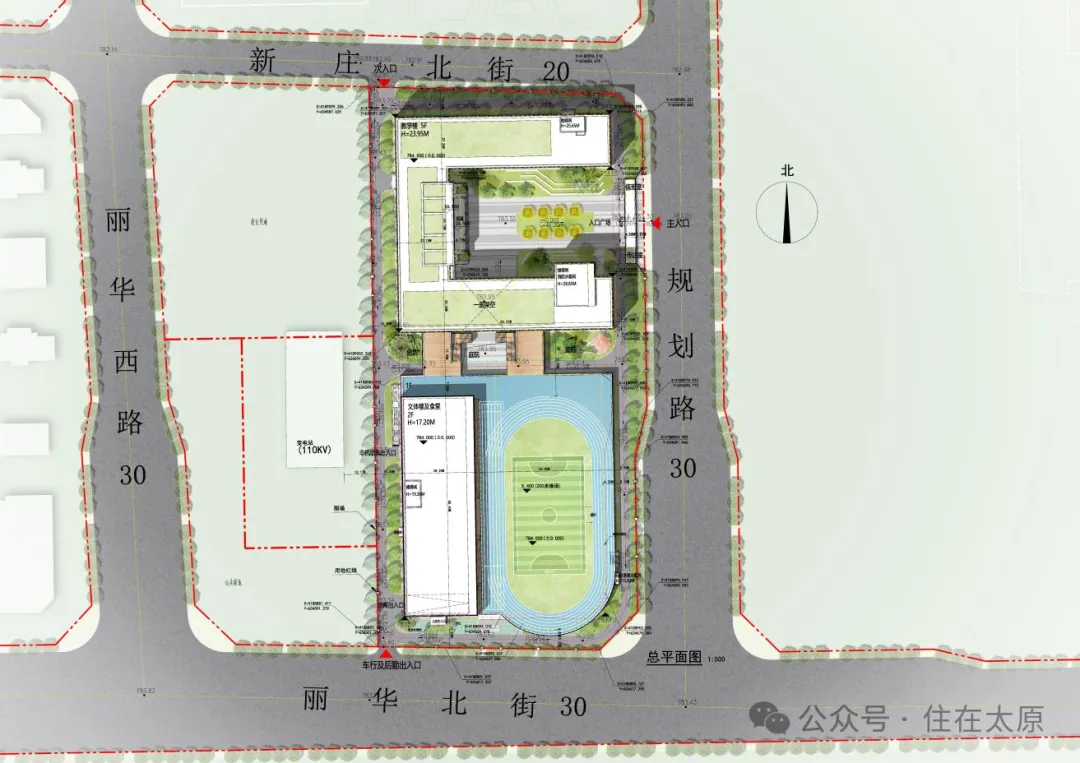
育英中学星河湾校区位于太原市小店区,太原市星河湾南街以北,平阳南路以西,加洋双语小学以南、星河湾6号园以东。西侧与星河湾公园相望,北侧与香檀1号相望,紧临平阳南路和星河南街。平阳南路为城市主干道,地理位置优越,具有便捷的交通条件。

早前规划显示该项目建设用地指标:总用地为45939.41 ㎡(68.91亩),其中净用地38054.15 ㎡(57.08亩),道路用地7885.26 ㎡(11.83亩)。

将新建总建筑面积34798 ㎡,学校规模初中8轨、高中6轨,共规划42个教学班,学生人数2100名,总建筑面积3.5万㎡。
除学校项目外,其他多类工业仓储、居住绿地也迎来了不同程度的修改。
JCP-01片区06街区003等地块修改动因为推动招商引资项目落地。
规划范围北起摄乐街,南至规划道路,西起多福南路,东至太原铁路枢纽西南环铁路防护绿带。规划总用地面积11.79公顷。
详细修改内容为将原有物流仓储用地修改为工业用地,并在地块西南角分割出一处医疗用地。
XD-03片区04街区028等地块修改动因为提高土地使用效率。
修改范围北起地块界线,南至恒大天宸小区界线,西起东沺一巷,东至东沺二巷,总用地面积4.18公顷。
修改内容为将原有居住用地与公园绿地进行了部分替换,并在其中分割出一处商务办公用地。
XD-07片区03街区047地块修改动因为盘活低效用地。
修改范围北起龙城南街、南至南环北街、西起黄陵城改地块、东至城市规划支路,规划范围总用地5.11公顷。
详细修改内容为将地块内原有加油站取消,并将地块各项指标作出细化调整:容积率2.5,建筑密度20%,绿地率35%,建筑高度50米。